Dossier d’œuvre architecture IA29001857 | Réalisé par
  • enquête thématique régionale, Inventaire des fortifications littorales de Bretagne
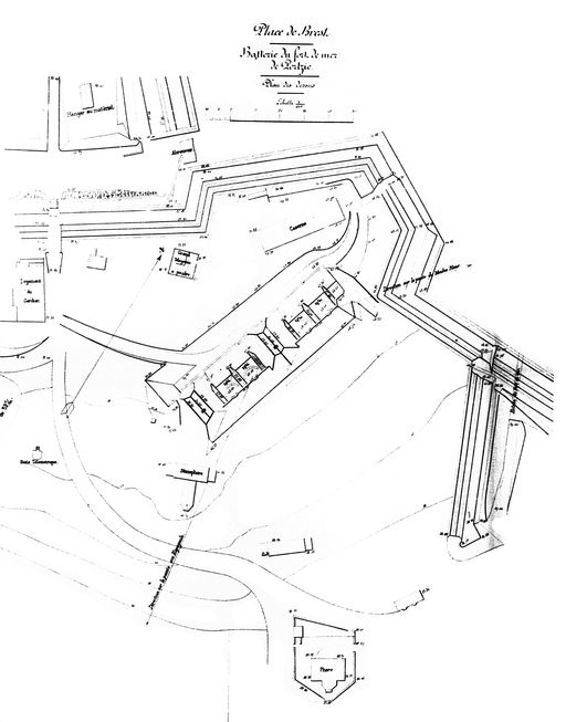
Batterie de rupture dite Batterie Nationale (2 canons M de 32 cm modèle 1870-1881), le Fort de mer, Le Portzic (Brest)
Œuvre étudiée

Dossier non géolocalisé

Localisation
  • Aire d'étude et canton Bretagne Nord
  • Commune Brest
  • Lieu-dit Le Portzic
  • Adresse le Fort de mer
  • Dénominations
    batterie, édifice logistique
  • Appellations
    Fort du Portzic

LES FORTIFICATIONS DE LA RADE DE BREST, UN PATRIMOINE RECONNU

Les batteries de rupture du goulet de Brest (Lécuillier Guillaume, 2011)

"Afin de rendre le goulet définitivement infranchissable à une flotte ennemie, l´implantation de batteries dites de rupture armées de canons de gros calibre est étudiée dès 1876 par la commission mixte de Défense des côtes. "Le

tir de rupture a pour objet la perforation des murailles cuirassées des bâtiments, en vue de les atteindre dans leurs parties essentielles situées au-dessus de l´eau (ligne de flottaison, artillerie de gros calibre, appareils à gouverner,

etc.). Il exige une vitesse de choc et une force vive très considérables".

Quatre lignes de feu faisant barrage sont dès lors définies : Minou-Capucins, Mengant-Cornouaille, Dellec-Robert/Stiff, Portzic-Pourjoint/Espagnols. Si l´implantation de telles batteries de rupture à ciel ouvert est rendue possible par la configuration des lieux dans les "ravins" du Mengant, du Dellec, du Stiff et sur la pointe du Portzic directement située face à l´entrée du goulet (batterie Nationale), il n´en est pas de même sur des sites de falaise, notamment sur la côte sud du goulet. Après de nombreuses tergiversations des autorités militaires, une première batterie casematée est aménagée, à titre expérimental, au ras de l´eau dans la falaise sur la pointe du Portzic en 1883.

Un plan-type de batterie casematée est réalisé à cette occasion sur la base de 2 canons de 32 cm. On y trouve deux chambres de tir avec cheminées d´aération verticales : la casemate et ses deux embrasures en T sont renforcées pour résister au souffle des pièces. Une partie vestibule regroupe en arrière un couloir de circulation doté d´une voie étroite de chemin de fer de 40 cm d´écartement (système Decauville généralisé dans le domaine militaire à la toute fin du XIXe siècle) permettant le transport par wagonnets (poussés à la main) des munitions aux canons depuis le magasin à poudre attenant, un bassin-citerne (pour nettoyer les pièces d´artillerie), une galerie et l´escalier

d´accès. L´ensemble, à l´exception de la galerie d´accès, est creusé directement dans le rocher puis revêtu d´une

maçonnerie de briques et/ou moellons qui est ensuite enduite. Des égouts permettent la ventilation et l´évacuation

des eaux d´infiltration provenant de la roche.

La batterie Sainte-Anne du Portzic est équipée en 1884 d´une pièce de calibre 32 cm modèle 1870 marine afin "d´éprouver les casemates". Les quatre batteries basses à ciel ouvert sont achevées en 1886. Leur armement se

compose de 12 canons de 32 cm (les batteries du Portzic et du Stiff de marine ne sont équipées que de deux pièces), modèle 1870-1881 sur affût marine modèle 1882 à pivot antérieur, ce qui autorise un pointage latéral.

En 1888, six batteries de rupture casematées sont construites au Minou (dans la falaise sous le fort), sur l´îlot des Capucins (dans le rocher), sur les pointes de Cornouaille (sous la batterie vaubanienne), à la pointe Robert (dans la falaise sous la batterie réorganisée en 1862), à Pourjoint (dans la falaise) et à la pointe des Espagnols (sous la batterie vaubanienne). Un affût spécifique dit "affût de 32 cm modèle 1888 de casemate, type de Brest" (de plus de 39 t) est réalisé pour recevoir l´imposant tube de 32 cm de calibre (canon marine, modèle 1870-1884), de 10 m de longueur et pesant 48 t. Ce modèle de tube est capable de propulser à plus de 600 m/s un projectile en fonte d´acier de 345 kg dit "obus de rupture". Les pièces ont été installées en 1889 avant la construction de l´épais mur de masque dans lequel est aménagée l´embrasure. Si la protection du canon et de ses servants est optimale, en revanche le champ de tir du canon est nul : l´affût de type fixe ne permet pas le pointage latéral de la pièce qui a été réglé une fois pour toutes lors de l´installation. Seul le pointage vertical, variable, permet de jouer sur la distance.

L´efficacité du tir repose avant tout sur le bon déclenchement du tir commandé par un poste d´observation dominant les batteries de rupture. Du fait des difficultés à approvisionner en munitions les batteries casematées du goulet, seules les batteries de rupture à ciel ouvert sont dotées d´obus explosifs de nouvelle génération.

Onze batteries de rupture ont été construites en rade de Brest entre 1883 et 1888 au prix, pour certaines, de travaux

gigantesques de déroctage. Les batteries de rupture casematées du goulet de Brest sont désarmées en 1915 et 1917 92 afin de fournir des pièces d´artillerie pour le département de la Guerre (artillerie lourde sur voie ferrée destinée au front terrestre). Il fut un temps envisagé de réarmer ces batteries casematées à l´aide de torpilles automobiles mais le projet resta dans les cartons. Lors de la Seconde Guerre mondiale, deux batteries de rupture casematées (à Pourjoint et à la pointe des Espagnols) sont coiffées par des casemates en béton et réarmées par des pièces antichars de 5 cm de calibre dont une était encore en place en 1969 93 tandis que deux postes de lancement de torpilles sont créés ex nihilo entre les pointes de Cornouaille et Robert.

Si au nord du goulet de Brest, la batterie du Minou est aujourd´hui inaccessible (la porte d´accès blindée a été soudée) et celle du Portzic remblayée, du côté sud, les batteries casematées demeurent quasiment intactes :

Capucins, Cornouaille, Robert, Pourjoint et Espagnols, mais leur accès est souvent périlleux. Compte tenu des difficultés d´accès (tant en approche d´un édifice situé au ras-de-l´eau, qu´en descente dans l´édifice même), la batterie de rupture casematée de Cornouaille, dépourvue d´escaliers mais dotée d´une rampe légèrement inclinée, présente la plus grande accessibilité pour une éventuelle mise en valeur. De plus, cette batterie de rupture casematée a vu ses deux axes de tir délardés par déroctage de la falaise située sous la plate-forme de la batterie vaubanienne, et deux arcs de décharge réalisés dans le parement ancien. L´ensemble constitue un exemple aussi saisissant que pédagogique de réutilisation d´une même position à 200 ans d´intervalle" (Lécuillier Guillaume, 2011).

Lécuillier Guillaume (dir.), Jean-Yves Besselièvre, Alain Boulaire, Didier Cadiou, Christian Corvisier, Patrick Jadé, Les fortifications de la rade de Brest : défense d'une ville-arsenal. Rennes, éd. Presses Universitaires de Rennes, coll. Cahiers du patrimoine, 2011, n° 94, 388 p.

  • Période(s)
    • Principale : 4e quart 19e siècle
    • Secondaire : 20e siècle
  • Murs
    • granite
    • schiste
    • moellon
    • moyen appareil
    • béton armé
  • Toits
    pierre en couverture, terre en couverture, béton en couverture
  • Plans
    système bastionné
  • Étages
    sous-sol, rez-de-chaussée
  • Couvrements
    • voûte en berceau plein-cintre
  • Couvertures
    • terrasse
  • État de conservation
    désaffecté, envahi par la végétation, mauvais état, vestiges
  • Techniques
    • gravure rupestre
  • Représentations
    • chronogramme
  • Statut de la propriété
    propriété de l'Etat
  • Intérêt de l'œuvre
    vestiges de guerre, à signaler

Annexes

  • Annexe n°1
Date(s) d'enquête : 2005; Date(s) de rédaction : 2005