Dossier d’œuvre architecture IA29001535 | Réalisé par
  • enquête thématique régionale, Inventaire des fortifications littorales de Bretagne
  • enquête thématique régionale, Inventaire des héritages militaires en Bretagne
Batterie antiaérienne baptisée Vulkan (B 339) et ensembles fortifiés (B 58-60 et B 63), Avenue de la 1ère Division Française Libre (Brest)
Œuvre étudiée

Dossier non géolocalisé

Localisation
  • Aire d'étude et canton Bretagne Nord
  • Commune Brest
  • Adresse Avenue de la 1ère Division Française Libre
  • Cadastre DT 22  ; DT 23  ; DT 24  ; DT 253  ; DT 399  ; DT 405
  • Dénominations
    ensemble fortifié, batterie, blockhaus, casemate, édifice logistique
  • Destinations
    dépôt de tramways, station service

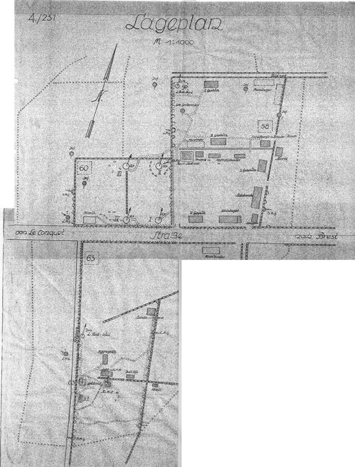
Cette zone située le long de la Route du Conquet, immédiatement à l’Ouest du Fort Montbarey à Brest, était éminemment stratégique durant la Seconde Guerre mondiale. Elle comprenait à la fois une puissante batterie antiaérienne de la marine allemande baptisée "Vulkan" (volcan en allemand) et des "nids de résistance" de l’armée de terre appartenant à la ligne principale de combat de Brest. Ce vaste ensemble fortifié est connu par un plan de situation daté du 8 mai 1944 conservé dans les archives fédérales allemandes.

Dans le cadre de la publication "Les fortifications de la rade de Brest : défense d'une ville-arsenal" (2011), ce site a fait l’objet d’une couverture photographique par la Région Bretagne (Service de l’Inventaire du patrimoine culturel) révélant la présence d’objets, de matériels pyrotechniques et de vestiges divers mis à jour par les travaux de construction du centre de dépôt, d'exploitation et de maintenance du tramway de Brest le 16 juin 2009.

Cette zone située le long de la Route du Conquet, immédiatement à l’Ouest du Fort Montbarey à Brest, était éminemment stratégique durant la Seconde Guerre mondiale. Elle est connue par un plan de situation daté du 8 mai 1944 conservé dans les archives fédérales allemandes (voir illustrations). Elle comprenait une puissante batterie antiaérienne de la marine allemande baptisée "Vulkan" (numérotée "B 339") et des "nids de résistance" (Widerstandsnester) de l’armée de terre (numérotés "B 58", "B 59", "B 60", "B 61" et "B 63") appartenant à la ligne principale de combat (Hauptkampflinie) de Brest. Chaque ensemble fortifié comprenait plusieurs bunkers. Au Sud-sud-est de cette zone, l’ensemble fortifié "B 62" abriterait un bunker - poste de commandement de type 610.

Cette ligne de combat, composée d’ensembles fortifiés implantés à intervalle régulier, est conçue à partir de la fin de 1942 et mis en œuvre en 1943. Précédée d’un fossé anti-char et anti-infanterie en ligne brisée, de champs de mines et de réseaux de barbelés, elle avait pour fonction la défense de la ville-arsenal de Brest contre une éventuelle attaque venant de l’Ouest menée par des troupes terrestres appuyées de chars.

La batterie antiaérienne est rattachée au Marine Flak Regiment 24 (créé en décembre 1941) puis au 3e Marine-Flak-Brigade, à partir du 1er avril 1943, dont le poste de commandement est installé au Château de Kerguillo à Bohars. Les quatre canons antiaériens modernes de 12,8 cm étaient positionnés dans des cuves bétonnées de type Fl 307. La défense antiaérienne était complétée par deux canons antiaériens de 2 cm. Plusieurs bunkers passifs ont été recensés : deux abris de type 501, trois abris de type 502, un abri VF2a et plusieurs abris type tôle métro (Heinrich Wellblech) pour le stockage des munitions et des groupes électrogènes. Des baraquements complétaient les installations.

Construit à proximité de la ferme de Kesteria, le bunker - poste de commandement de type Fl 241 pour batterie antiaérienne est aujourd’hui situé dans l’enceinte de l’usine Thales.

La défense rapprochée de ce vaste ensemble fortifié était assurée par au moins sept postes d’observation et de tir dits Tobruk-Stände de type VF 8, un Tobruk-Stand de type 67 pour une tourelle de char (situé immédiatement au Sud de la route), un Tobruk-Stand de type 61a pour un mortier de 5 cm et un encuvement pour canon de 5 cm.

C’est cet ancien site militaire situé au nord de l’Avenue de la 1ère Division Française Libre, en face de l'usine Thalès, qui a été choisi dans les années 2000 pour implanter le centre de dépôt, d'exploitation et de maintenance du tramway de Brest. Lors des travaux de terrassements et de déconstruction des bunkers en juin-juillet 2009, une importante quantité de munitions historiques a été trouvé sur le site.

  • Période(s)
    • Principale : 2e quart 20e siècle
  • Dates
    • 1942, daté par source, daté par travaux historiques
    • 1943, daté par source, daté par travaux historiques
    • 1944, daté par source, daté par travaux historiques
  • Auteur(s)

Une trentaine de bunkers en béton armé de tout type - actif ou passif - composait ce vaste ensemble fortifié. Si certains bunkers ont été déconstruits pour permettre l’implantation du centre de dépôt, d'exploitation et de maintenance du tramway de Brest, d’autres subsistent et sont plus ou moins visibles et accessibles du fait de l’urbanisation.

Entre la station-service et le dépôt du tramway se trouvent ainsi les quatre cuves de type Fl 307 (remblayées) pour canons antiaériens tandis qu’une propriété privée voisine abrite dans son jardin un bunker - abri de type 501.

Au nord de la Route de Kervallan, subsistent également plusieurs postes d’observation et de tir dits Tobruk-stände.

  • Murs
    • béton béton armé
  • Toits
    béton en couverture
  • Étages
    sous-sol, rez-de-chaussée
  • Couvertures
    • terrasse
  • État de conservation
    état moyen, vestiges, inégal suivant les parties, détruit après inventaire
  • Statut de la propriété
    propriété publique
    propriété privée
  • Intérêt de l'œuvre
    vestiges de guerre
  • Éléments remarquables
    ensemble fortifié, batterie, blockhaus, casemate

Documents d'archives

  • Rapport Pinczon du Sel. Livre IV. "Le Mur de l´Atlantique de la côte de la Manche et de l´Atlantique du Mont Saint-Michel à la Laïta". 1946-1948.

    Service Historique de la Défense de Brest

Bibliographie

  • CHAZETTE, Alain. DESTOUCHES, Alain. PAICH, Bernard. Album Mémorial Atlantikwall, Le Mur de l´Atlantique en France 1940-1944. Bayeux : édition Heimdal, 1995, 480 p. ISBN 2-84048088-3.

  • ROLF, Rudi. Atlantikwall-Typenheft. Atlantic Wall typology. Typologie du Mur de l'Atlantique. Middelburg, PRAK publishing, 2008, 432 p.

  • LÉCUILLIER, Guillaume (dir.), BESSELIÈVRE, Jean-Yves, BOULAIRE, Alain, CADIOU, Didier, CORVISIER, Christian, JADÉ, Patrick. Les fortifications de la rade de Brest : défense d'une ville-arsenal. Rennes : éditions Presses Universitaires de Rennes, collection Cahiers du patrimoine, 2011, n° 94, 388 p.

    Région Bretagne (Service de l'Inventaire du patrimoine culturel)
  • CHAZETTE, Alain. MANTEY, Olivier. DESTOUCHES, Alain. TOMINE, Jacques. PAICH, Bernard. SOLERA, Mario. REBERAC, Fabien. Forteresse de Brest. Maillon du Mur de l'Atlantique. Occupation - vie quotidienne - libération. Vertou, éditions Histoire et fortifications, 2018, 208 p.

Date(s) d'enquête : 2003; Date(s) de rédaction : 2003, 2023