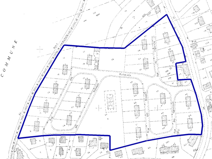
Lotissement concerté, 9 à 25 rue de la Gougeonnais ; rue des Mimosas ; rue des Roitelets ; rue des Bleuets ; rue des Eglantines ; rue de l' Aurore (La Richardais),
Délimitation du fonds sur le cadastre de 1988Immatriculation
IVR53_20003507158NUC
Auteur de l'illustration
(reproduction)
Copyright
Diffusion
reproduction soumise à autorisation du titulaire des droits d'exploitation
Type
phototype numérique
Besoin d'informations sur cette illustration ?
Nous contacter
Informations techniques
-
Technique de relevé
- relevé manuel