Dossier d’œuvre architecture IA35007835 | Réalisé par
  • inventaire préliminaire, Sixt-sur-Aff
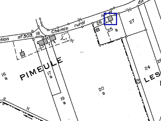
Maison, Pimeule (Sixt-sur-Aff)
Œuvre recensée

Dossier non géolocalisé

Localisation
  • Aire d'étude et canton Ille-et-Vilaine - Pipriac
  • Commune Sixt-sur-Aff
  • Lieu-dit Pimeule
  • Cadastre 1986 YN 25
  • Période(s)
    • Principale : milieu 19e siècle
  • Murs
    • schiste
    • enduit
    • moellon sans chaîne en pierre de taille
  • Toits
    ardoise

Données complémentaires architecture IP35

  • DENO
  • HYPOI maison élémentaire à une pièce
  • HYPOE
  • PHYPO
  • STYL vernaculaire
  • NOTA
  • MURS1 schiste ; moellon sans chaîne en pierre de taille ; enduit
  • MURS2
  • SCLE1 milieu 19e siècle
  • IMPA
  • CBATI
  • IMBATI
  • PERP
  • ESPAL
  • PASSAGE
  • ESPAP
  • DISTRIB simple en profondeur
  • ORDO -1
  • ELEV
  • ETAG
  • COMBLE comble à surcroît
  • MOUV à porte haute pendante
  • RDC
  • ACCESA 1
  • ACCESP
  • NATUA porte à battant unique décentrée
  • FACCES
  • FAXE
  • FETAG
  • FOUV
  • IAUT sans objet
  • ICHR typicum
  • IESP typicum
  • ICONTX intégré
  • PINTE
  • SEL repéré
  • TYPVIL
  • TYPECA
  • POSECA
  • Statut de la propriété
    propriété privée

Documents figurés

  • Commune de Sixt-sur-Aff. Plan cadastral. Section YN, plan, 1986, échelle : 1/2000.

Date(s) d'enquête : 2000; Date(s) de rédaction : 2000
Articulation des dossiers