Logis à fonctions combinées (Hommes et animaux sous le même toit) construit sur les fondations d'un bâtiment plus ancien dont il remploie une partie du mur en façade sud (la partie ouest présente un appareil assisé) et un linteau en schiste mouluré.
Dossier d’œuvre architecture IA35007513
| Réalisé par
Lauranceau Elise
;
Lauranceau Elise
Cliquez pour effectuer une recherche sur cette personne.
- inventaire préliminaire, Sixt-sur-Aff
Ferme, Noyal (Sixt-sur-Aff)
Œuvre recensée
Auteur
-
Lauranceau EliseLauranceau EliseCliquez pour effectuer une recherche sur cette personne.
Dossier non géolocalisé
Localisation
-
Aire d'étude et canton
Ille-et-Vilaine - Pipriac
-
Commune
Sixt-sur-Aff
-
Lieu-dit
Noyal
-
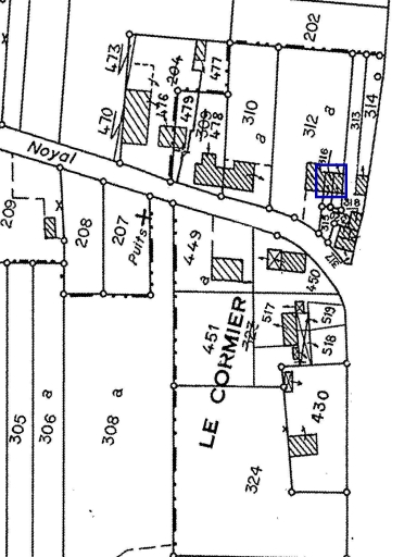
Cadastre
1986
ZA 312, 316
-
Dénominationsferme
-
Période(s)
- Principale : 19e siècle
- Secondaire : 17e siècle , (incertitude)
-
Murs
- schiste
- moellon sans chaîne en pierre de taille
-
Toitsciment en couverture
-
État de conservationmauvais état
Données complémentaires architecture IP35
- DENO
- HYPOI B1
- HYPOE bloc
- PHYPO VARIANTE : grenier sur salle/étable à partition
- STYL vernaculaire
- NOTA
- MURS1 schiste ; moellon sans chaîne en pierre de taille
- MURS2
- SCLE1 19e siècle
- IMPA
- CBATI
- IMBATI
- PERP
- ESPAL
- PASSAGE
- ESPAP
- DISTRIB
- ORDO
- ELEV
- ETAG
- COMBLE
- MOUV
- RDC
- ACCESA
- ACCESP
- NATUA
- FACCES à portes multiples
- FAXE nsp
- FETAG R+C à haut surcroît
- FOUV à porte haute
- IAUT sans objet
- ICHR typicum
- IESP typicum
- ICONTX intégré
- PINTE
- SEL repéré
- TYPVIL
- TYPECA
- POSECA
-
Statut de la propriétépropriété privée
- (c) Inventaire général, ADAGP
- (c) Inventaire général, ADAGP
- (c) Inventaire général, ADAGP
Documents figurés
-
Commune de Sixt-sur-Aff. Plan cadastral. Section ZA, plan, 1986, échelle : 1/2000.
Date(s) d'enquête :
2000;
Date(s) de rédaction :
2000
Lauranceau Elise
Lauranceau Elise
Cliquez pour effectuer une recherche sur cette personne.
Dossiers de synthèse
Articulation des dossiers