Transformé en étable à la construction de la nouvelle habitation à l'ouest, cet ancien logis a subi quelques remaniements (essentiellement la modification de la pente du toit toujours visible dans le pignon). La distribution d'origine est malgré tout encore lisible : un grenier important surmontant une salle.
Dossier d’œuvre architecture IA35006383
| Réalisé par
- inventaire préliminaire, Le Minihic-sur-Rance
Maison, 3 rue des Vallées (Le Minihic-sur-Rance)
Œuvre recensée
Auteur
Dossier non géolocalisé
Localisation
-
Aire d'étude et canton
Ille-et-Vilaine - Dinard
-
Commune
Minihic-sur-Rance (Le)
-
Lieu-dit
la Haute Rabinais
-
Adresse
3 rue des Vallées
-
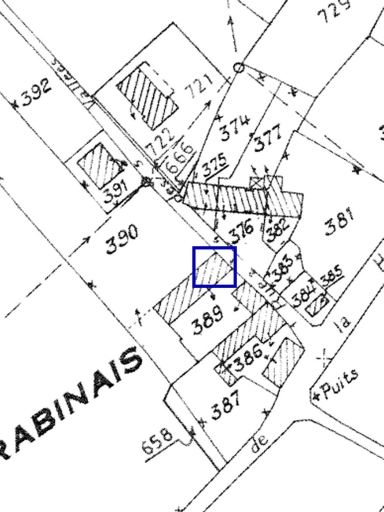
Cadastre
1982
J
389
-
Dénominationsmaison
-
Période(s)
- Principale : 18e siècle , (incertitude)
-
Murs
- granulite
- moellon sans chaîne en pierre de taille
-
Toitsardoise
-
État de conservationremanié
Données complémentaires architecture IP35
- DENO
- HYPOI C2
- HYPOE
- PHYPO VARIANTE : grenier sur salle
- STYL vernaculaire
- NOTA pignon découvert
- MURS1 granulite ; moellon sans chaîne en pierre de taille
- MURS2
- SCLE1 18e siècle (?)
- IMPA
- CBATI
- IMBATI
- PERP
- ESPAL
- PASSAGE
- ESPAP
- DISTRIB
- ORDO
- ELEV
- ETAG
- COMBLE
- MOUV
- RDC
- ACCESA
- ACCESP
- NATUA
- FACCES à porte unique
- FAXE sans porte dans l'axe
- FETAG R+C à haut surcroît
- FOUV à porte haute
- IAUT sans objet
- ICHR typicum
- IESP typicum région ou pays
- ICONTX intégré
- PINTE
- SEL repéré
- TYPVIL
- TYPECA
- POSECA
-
Statut de la propriétépropriété privée
- (c) Inventaire général, ADAGP
- (c) Inventaire général, ADAGP
Documents figurés
-
Commune du Minihic-sur-Rance. Plan cadastral. Section J. Levée, 1982 3e éd., échelle : 1/2000e. (Mairie du Minihic-sur-Rance).
Date(s) d'enquête :
2000;
Date(s) de rédaction :
2000
Dossiers de synthèse
Articulation des dossiers