Importante propriété du hameau de la Ganchais influencé par le style des malouinières (croupe, souche de cheminée à épaulements, pavillons d'angle).
Dossier d’œuvre architecture IA35006334
| Réalisé par
- inventaire préliminaire, Le Minihic-sur-Rance
Maison dite Ker Grove, 17 rue des Marins (Le Minihic-sur-Rance)
Œuvre recensée
Auteur
(reproduction)
Dossier non géolocalisé
Localisation
-
Aire d'étude et canton
Ille-et-Vilaine - Dinard
-
Commune
Minihic-sur-Rance (Le)
-
Lieu-dit
la Ganchais
-
Adresse
17 rue des Marins
-
Cadastre
1982
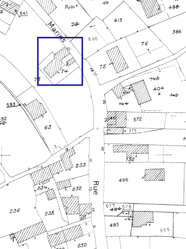
C 73, 74
-
Dénominationsmaison
-
Parties constituantes non étudiéesjardin, clôture de jardin, portail
-
Période(s)
- Principale : 4e quart 19e siècle
-
Murs
- granulite
- enduit
- moellon
-
Toitsardoise
-
État de conservationremanié
Données complémentaires architecture IP35
- DENO
- HYPOI maison de type ternaire
- HYPOE en alignement
- PHYPO
- STYL normalisation
- NOTA croupe ; souche à épaulements
- MURS1 granulite ; moellon ; enduit
- MURS2
- SCLE1 4e quart 19e siècle
- IMPA
- CBATI
- IMBATI
- PERP
- ESPAL
- PASSAGE
- ESPAP
- DISTRIB double en profondeur
- ORDO -1
- ELEV 3
- ETAG 1
- COMBLE comble à surcroît
- MOUV autre cas
- RDC -1
- ACCESA 1
- ACCESP ?
- NATUA porte bâtarde centrée
- FACCES
- FAXE
- FETAG
- FOUV
- IAUT sans objet
- ICHR typicum
- IESP typicum région ou pays
- ICONTX intégré
- PINTE
- SEL repéré
- TYPVIL
- TYPECA
- POSECA
-
Statut de la propriétépropriété privée
- (c) Inventaire général, ADAGP
- (c) Inventaire général, ADAGP
- (c) Inventaire général, ADAGP
Documents figurés
-
Commune du Minihic-sur-Rance. Plan cadastral. Section C. Levée, 1982, 3e éd., échelle : 1/1000e. (Mairie du Minihic-sur-Rance).
Date(s) d'enquête :
2000;
Date(s) de rédaction :
2000
Dossiers de synthèse
Articulation des dossiers