Il s'agit vraisemblablement d'une ancienne habitation à deux foyers composés chacun d'une salle surmontée d'un grenier carré.
Dossier d’œuvre architecture IA35006333
| Réalisé par
- inventaire préliminaire, Le Minihic-sur-Rance
Maison, 28 rue des Marins (Le Minihic-sur-Rance)
Œuvre recensée
Auteur
Dossier non géolocalisé
Localisation
-
Aire d'étude et canton
Ille-et-Vilaine - Dinard
-
Commune
Minihic-sur-Rance (Le)
-
Lieu-dit
la Ganchais
-
Adresse
28 rue des Marins
-
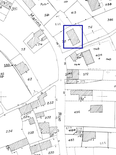
Cadastre
1982
C 75, 76, 386
-
Dénominationsmaison
-
Parties constituantes non étudiéescour, jardin
-
Période(s)
- Principale : 2e moitié 19e siècle
-
Murs
- granulite
- moellon sans chaîne en pierre de taille
-
Toitsardoise
Données complémentaires architecture IP35
- DENO
- HYPOI maison à plusieurs unités d'habitation juxtaposées
- HYPOE sans objet
- PHYPO INCERTITUDE
- STYL normalisation
- NOTA
- MURS1 granulite ; moellon sans chaîne en pierre de taille
- MURS2
- SCLE1 2e moitié 19e siècle
- IMPA
- CBATI
- IMBATI
- PERP
- ESPAL
- PASSAGE
- ESPAP
- DISTRIB nsp
- ORDO -1
- ELEV 4
- ETAG 1
- COMBLE comble à surcroît
- MOUV à porte haute et porte haute pendante
- RDC
- ACCESA 2
- ACCESP ?
- NATUA porte bâtarde décentrée
- FACCES
- FAXE
- FETAG
- FOUV
- IAUT sans objet
- ICHR typicum
- IESP typicum région ou pays
- ICONTX intégré
- PINTE
- SEL repéré
- TYPVIL
- TYPECA
- POSECA
-
Statut de la propriétépropriété privée
- (c) Inventaire général, ADAGP
- (c) Inventaire général, ADAGP
Documents figurés
-
Commune du Minihic-sur-Rance. Plan cadastral. Section C. Levée, 1982, 3e éd., échelle : 1/1000e. (Mairie du Minihic-sur-Rance).
Date(s) d'enquête :
2000;
Date(s) de rédaction :
2000
Dossiers de synthèse
Articulation des dossiers