Alignement composé de logis remaniés, voire dénaturés, conservant un caractère ancien intéressant (volume, pignon, implantation, etc.).
Dossier d’œuvre architecture IA35006317
| Réalisé par
- inventaire préliminaire, Le Minihic-sur-Rance
Alignement de maisons, 45 rue des Marins ; rue des Saules (Le Minihic-sur-Rance)
Œuvre recensée
Auteur
Dossier non géolocalisé
Localisation
-
Aire d'étude et canton
Ille-et-Vilaine - Dinard
-
Commune
Minihic-sur-Rance (Le)
-
Lieu-dit
la Ganchais
-
Adresse
45 rue des Marins
,
rue des Saules
-
Cadastre
1982
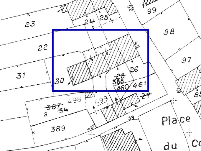
C 26, 30, 388, 389, 460, 461, 498, 499
-
Dénominationsmaison
-
Période(s)
- Principale : 19e siècle
-
Murs
- granulite
- moellon sans chaîne en pierre de taille
-
Toitsardoise
-
État de conservationremanié
Données complémentaires architecture IP35
- DENO
- HYPOI
- HYPOE
- PHYPO pignon découvert
- STYL
- NOTA
- MURS1 granulite ; moellon sans chaîne en pierre de taille
- MURS2
- SCLE1 19e siècle
- IMPA
- CBATI
- IMBATI
- PERP
- ESPAL
- PASSAGE
- ESPAP
- DISTRIB
- ORDO
- ELEV
- ETAG
- COMBLE
- MOUV
- RDC
- ACCESA
- ACCESP
- NATUA
- FACCES
- FAXE
- FETAG
- FOUV
- IAUT sans objet
- ICHR typicum
- IESP typicum région ou pays
- ICONTX intégré
- PINTE
- SEL repéré
- TYPVIL
- TYPECA
- POSECA
-
Statut de la propriétépropriété privée
- (c) Inventaire général, ADAGP
- (c) Inventaire général, ADAGP
- (c) Inventaire général, ADAGP
- (c) Inventaire général, ADAGP
Documents figurés
-
Commune du Minihic-sur-Rance. Plan cadastral. Section D, 1ère feuille. Levée, par Demoton, 1829, échelle : 1/2500e. (A.C. Minihic-sur-Rance).
-
Commune du Minihic-sur-Rance. Plan cadastral. Section C. Levée, 1982, 3e éd., échelle : 1/1000e. (Mairie du Minihic-sur-Rance).
Date(s) d'enquête :
2000;
Date(s) de rédaction :
2000
Dossiers de synthèse
Articulation des dossiers