Intéressant logis élémentaire composé d'une salle surmontée d'un grenier carré. Bien que la gerbière du comble ait été bouchée, il est présente un très bon état de conservation.
Dossier d’œuvre architecture IA35006302
| Réalisé par
- inventaire préliminaire, Le Minihic-sur-Rance
Maison de marin (?), 47 rue du Révérend Père Lebret (Le Minihic-sur-Rance)
Œuvre recensée
Auteur
Dossier non géolocalisé
Localisation
-
Aire d'étude et canton
Ille-et-Vilaine - Dinard
-
Commune
Minihic-sur-Rance (Le)
-
Lieu-dit
la Ganchais
-
Adresse
47 rue du Révérend Père Lebret
-
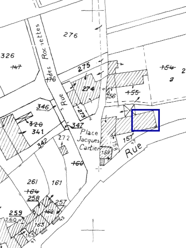
Cadastre
1982
B
157
-
Dénominationsmaison
-
Période(s)
- Principale : limite 18e siècle 19e siècle
-
Murs
- granulite
- moellon sans chaîne en pierre de taille
-
Toitsardoise
-
État de conservationremanié
Données complémentaires architecture IP35
- DENO
- HYPOI C2
- HYPOE
- PHYPO VARIANTE : grenier carré sur salle
- STYL vernaculaire
- NOTA pignon découvert
- MURS1 granulite ; moellon sans chaîne en pierre de taille
- MURS2
- SCLE1 limite 18e siècle 19e siècle
- IMPA
- CBATI
- IMBATI
- PERP
- ESPAL
- PASSAGE
- ESPAP
- DISTRIB
- ORDO
- ELEV
- ETAG
- COMBLE
- MOUV
- RDC
- ACCESA
- ACCESP
- NATUA
- FACCES à porte unique
- FAXE nsp
- FETAG R+1+C à surcroît
- FOUV à porte haute et porte haute pendante
- IAUT sans objet
- ICHR typicum
- IESP typicum région ou pays
- ICONTX intégré
- PINTE
- SEL sélection possible
- TYPVIL
- TYPECA
- POSECA
-
Statut de la propriétépropriété privée
- (c) Inventaire général, ADAGP
- (c) Inventaire général, ADAGP
Documents figurés
-
Commune du Minihic-sur-Rance. Plan cadastral. Section B. Levée, 1982 3e éd., échelle : 1/1000e. (Mairie du Minihic-sur-Rance).
Date(s) d'enquête :
2000;
Date(s) de rédaction :
2000
Dossiers de synthèse
Articulation des dossiers