Dossier d’œuvre architecture IA35006296 | Réalisé par
  • inventaire préliminaire, Le Minihic-sur-Rance
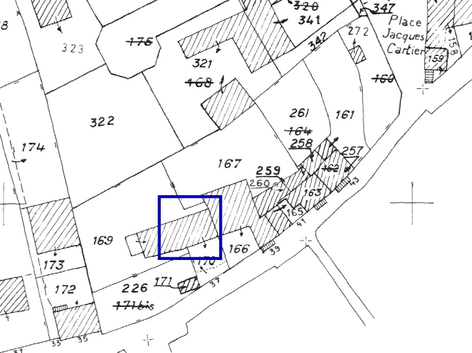
Ferme, 37 rue du Révérend Père Lebret (Le Minihic-sur-Rance)
Œuvre recensée

Dossier non géolocalisé

Localisation
  • Aire d'étude et canton Ille-et-Vilaine - Dinard
  • Commune Minihic-sur-Rance (Le)
  • Lieu-dit la Ganchais
  • Adresse 37 rue du Révérend Père Lebret
  • Cadastre 1982 B 169 à 171, 226
  • Dénominations
    ferme
  • Destinations
    maison
  • Parties constituantes non étudiées
    cour, jardin, étable, cellier
  • Période(s)
    • Principale : 4e quart 19e siècle
  • Murs
    • granulite
    • moellon sans chaîne en pierre de taille
  • Toits
    ardoise

Données complémentaires architecture IP35

  • DENO
  • HYPOI maison de type ternaire
  • HYPOE en alignement avec les dépendances agricoles
  • PHYPO
  • STYL normalisation
  • NOTA croupe
  • MURS1 granulite ; moellon sans chaîne en pierre de taille
  • MURS2
  • SCLE1 4e quart 19e siècle
  • IMPA
  • CBATI
  • IMBATI
  • PERP
  • ESPAL
  • PASSAGE
  • ESPAP
  • DISTRIB nsp
  • ORDO -1
  • ELEV 3
  • ETAG 1
  • COMBLE comble à surcroît
  • MOUV à porte haute pendante
  • RDC
  • ACCESA 1
  • ACCESP ?
  • NATUA porte bâtarde centrée
  • FACCES
  • FAXE
  • FETAG
  • FOUV
  • IAUT sans objet
  • ICHR typicum
  • IESP typicum région ou pays
  • ICONTX intégré
  • PINTE
  • SEL repéré
  • TYPVIL
  • TYPECA
  • POSECA
  • Statut de la propriété
    propriété privée

Documents figurés

  • Commune du Minihic-sur-Rance. Plan cadastral. Section B. Levée, 1982 3e éd., échelle : 1/1000e. (Mairie du Minihic-sur-Rance).

Date(s) d'enquête : 2000; Date(s) de rédaction : 2000