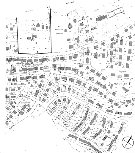
Projet de lotissement dû à l'architecte Frangeul en 1898 sur un terrain appartenant à la famille Pontallié. Le lotissement de 7030 mètres carrés en front de mer prévoit le percement de trois avenues parallèles privées de 10 mètres de large reliant le boulevard de Rothéneuf et un escalier d'accès à la plage du Minihic. Douze lots sont prévus en 1898. Des règles de copropriété des avenues sont imposées aux propriétaires, bien que le plan soit antérieur à la législation sur les lotissements (loi de 1919). Les lots sont vendus par Pontallié à divers acheteurs : les principaux sont MM. Quiry, Vigour, Derennes architecte et Engels, tous propriétaires d'autres villas à Paramé. Malgré la vente effective des terrains du lotissement et la trace dans les matrices de villas dont la Villa Clémence et du salon de thé Le Pardo (1934), pratiquement aucune construction n'a été réalisée. Après 1920, la Villa Julienne et André, composée de deux unités d'habitation sous un même toit, est, édifiée en front de mer sur les plans de l'architecte André Pourchasse. En 1954, la commune de Paramé demande une déclaration d'utilité publique afin d'acquérir les terrains résultant de ce lotissement défectueux. Elle achète la partie est du lotissement pour y construire le terrain de camping des Nielles.
Dossier d’œuvre architecture IA35000146
| Réalisé par
Lemonnier Gaëlle
Lemonnier Gaëlle
Cliquez pour effectuer une recherche sur cette personne.
- recensement du patrimoine balnéaire, Le patrimoine balnéaire de la Côte d'Emeraude
Lotissement concerté Frangeul Auscher (Saint-Malo)
Œuvre étudiée
Auteur
(reproduction)
-
Delmotte PascaleDelmotte PascaleCliquez pour effectuer une recherche sur cette personne.
Dossier non géolocalisé
Localisation
-
Aire d'étude et canton
Côte d'Emeraude - Saint-Malo Nord
-
Commune
Saint-Malo
-
Lieu-dit
Paramé
-
Adresse
avenue du Président John Kennedy
,
avenue des Nielles
-
Cadastre
1982
H 586, 760, 1122, 1124, 76, 1156, 537, 79, 80, 81, 82, 83, 84, 85, 86, 89, 90, 799
-
Précisions
anciennement commune de Paramé
-
Dénominationslotissement concerté
-
Appellationsdit Lotissement Frangeul Auscher
-
Période(s)
- Principale : 4e quart 19e siècle
-
Dates
- 1898, daté par source
-
Auteur(s)
- Auteur : architecte attribution par source
- Auteur : architecte attribution par source
- Auteur : architecte attribution par source
-
État de conservationoeuvre non réalisée
-
Statut de la propriétépropriété publique
propriété privée
- (c) Région Bretagne
Date(s) d'enquête :
1995;
Date(s) de rédaction :
1996
Lemonnier Gaëlle
Lemonnier Gaëlle
Cliquez pour effectuer une recherche sur cette personne.
Articulation des dossiers